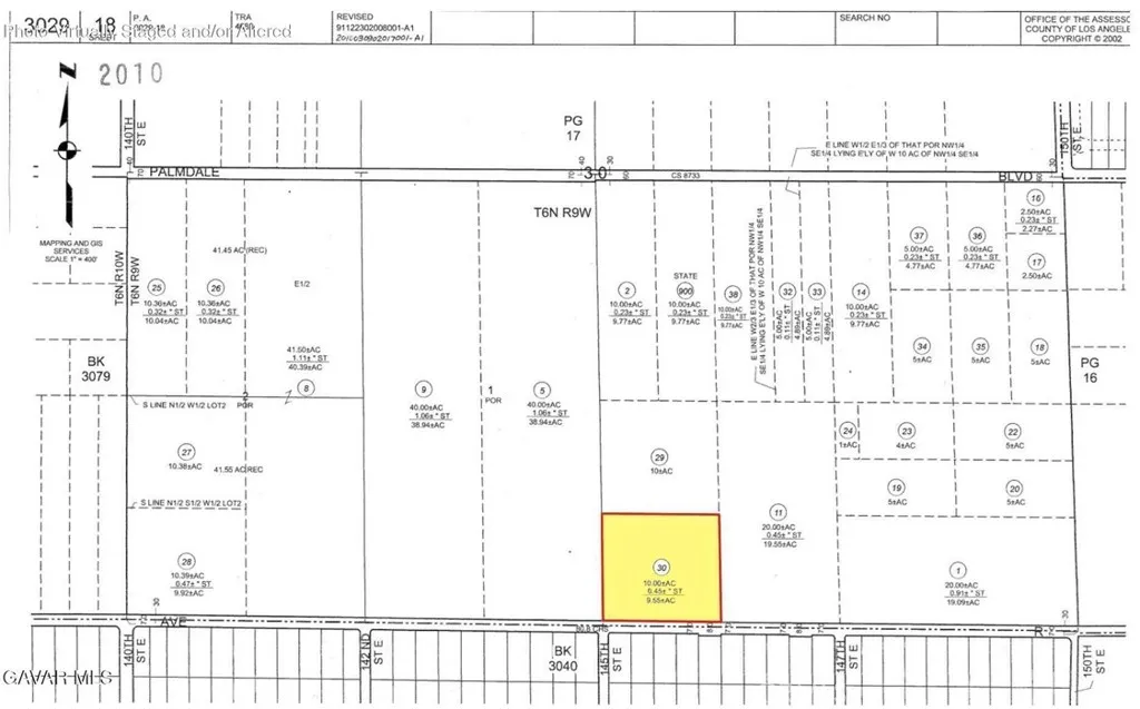
APN: 3029-018-030 Coordinates: 34.572917, -117.870167 10 acre parcel for sale in Palmdale, CA. This lot is located on E Avenue R and 140th ST E. Excellent location on a dirt road not far from Palmdale Blvd and near to other homes.
810 W Washington St San Diego, CA 92103 Diana L. Patrick 00526126 diana@dianapatrick.com 4083359310 32.748178 -117.145937 https://www.royacdn.com/unsafe/smart/Site-48750597-fad4-4739-909d-ca390a15c8e5/theme3/roya_com_130.png 810 W Washington St San Diego, CA 92103 https://goo.gl/maps/mEde1RKYnj6VbQPE7 +1-